Vendita Immobile Commerciale a Cento - Rif. CAPC59

Sant'Agostino | 1,000,000.00 | Mq 4000 | |

Descrizione

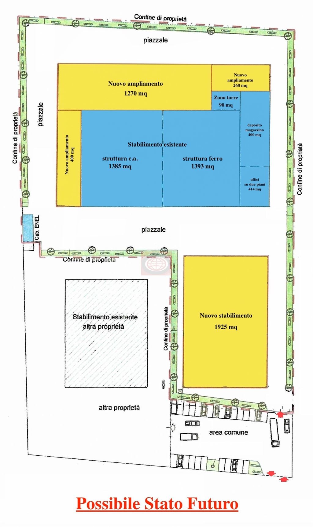
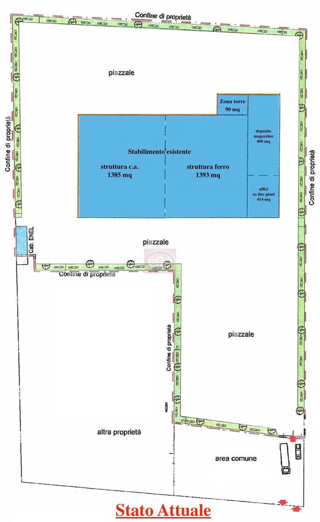
CENTO (FE) (CAPC59): In ottima posizione a meta' strada fra Modena e Bologna, proponiamo ampio capannone DA RISTRUTTURARE, con quasi 16000 mq. di piazzale esterno. Il capannone ha altezze che variano dai 7,5 mt. nel punto piu' basso ai 10,00mt al colmo. Servito da 400,00mt di superficie ad uso uffici e servizi. N.B. Possibilità di ampliamento di circa 4.000 mq. . La proprietà valuta anche richieste di affitto a riscatto. N.B. :Maggiori informazioni in ufficio.
N.B. :Le presenti informazioni non costituiscono elemento contrattuale.

Dettagli

  • Riferimento: CAPC59
  • Tipologia: Immobile Commerciale
  • Comune: Cento
  • Zona: Sant'Agostino
  • Cucina:
  • Camere:
  • Bagni:
  • Box:
  • Piano:
  • Anno costruzione:
  • Stato conservazione: Da ristrutturare
  • Stato: Libero
  • Spese cond. annue €:
  • Riscaldamento:
  • Caratteristiche

    Efficienza energetica

    Localizzazione - Cento

    Richiedi informazioni

    Via Polenta, 26)

    47521 Cesena (FC)

    0547.631708

    Vendite     Affitti

    Ai sensi e per gli effetti degli articoli 13 e 6 del Regolamento UE 2016/679, dichiaro di aver preso visione dell’informativa di Agenzia Globo di Garavelli Gianni & C. Sas per il trattamento dei dati personali.

    Via Polenta, 26 - 47521 Cesena (FC) - Telefono 0547.631708 - Email info@agenziaimmobiliareglobo.it


    Vendita Immobile Commerciale a Cento - Rif. CAPC59

    | Mq 4000 | 1,000,000.00

    Cento

    CENTO (FE) (CAPC59): In ottima posizione a meta' strada fra Modena e Bologna, proponiamo ampio capannone DA RISTRUTTURARE, con quasi 16000 mq. di piazzale esterno. Il capannone ha altezze che variano dai 7,5 mt. nel punto piu' basso ai 10,00mt al colmo. Servito da 400,00mt di superficie ad uso uffici e servizi. N.B. Possibilità di ampliamento di circa 4.000 mq. . La proprietà valuta anche richieste di affitto a riscatto. N.B. :Maggiori informazioni in ufficio.
    N.B. :Le presenti informazioni non costituiscono elemento contrattuale.

    Riferimento: CAPC59

    Tipologia: Immobile Commerciale

    Comune: Cento

    Zona: Sant'Agostino

    Cucina:

    Camere:

    Bagni:

    Box:

    Piano:

    Anno costruzione:

    Stato conservazione: Da ristrutturare

    Stato: Libero

    Spese cond. annue €:

    Riscaldamento:

    Efficienza energetica